Singapur, Australien, Neuseeland, Fiji, USA

Reisezeit: November 2009 - Januar 2010  |  von Jerome Krieger

Willkommen in Australien

Nach einem 10 Stunden Flug via Darwin bin ich endlich in Cairns angekommen.
Der Flug dort hin hatte es aber doch schon in sich. Ich bin mit einer Billigairline (JetStar) geflogen, was wohl ne Tochtergesellschaft von Quantas ist. Das besondere an dieser Gesellschaft ist, dass sie zu ihren Getraenken und kleinen Sacks noch ein Entertainmentprogram anzubieten haben: wenn alle sitzen, erklingt eine peinlich beruehrte Stimme und teilt den Fluggaesten mit, dass beim Ladevorgang das Gepaeck nicht ordnungsgemaess verladen wurde und nun 8 Freiwillige gesucht werden, die sich in den hinteren Teil der Maschine begeben, da die Stabilitaet des Fliegers wieder hergestellt werden muesse. Da kamen mir dann doch kurzzeitig Zweifel ueber die Sicherheit der Maschine... bin aber dann doch sicher wieder am Boden angekommen.
In Cairns gings dann gleich zum Baden, obwohl das Meer von der Tuer ist, geht hier aber jeder in die Blue Lagoon, da Cairns nicht wirklich ueber einen Badestrand verfuegt.

Strandpromenade von Cairns

Strandpromenade von Cairns

Blue Lagoon

Blue Lagoon

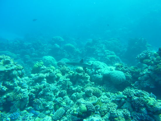
Am naechsten Tag waer ich am liebsten wieder ins Bett gegangen. Ich hatte mich auf bestes Wetter zum Tauchen (www.prodivecairns.com/) vorbereitet und wurde mit einem Regentag ueberrascht, dies sollte sich dann auch den ganzen Tag nicht aendern... Nichtsdestotrotz tauchten wir (Greg, mein Buddy aus LA und ich) gemeinsam ab und wurden doch entschaedigt. Das Great Barrier Reef hat echt einiges zu bieten: Schildkroeten, Clownfische, sehr schoene Korallengaerten und natuerlich Haie, aber seht selbst...

Der Kollege war knapp ein Meter lang

Der Kollege war knapp ein Meter lang

Der Krieger bei der Arbeit...

Der Krieger bei der Arbeit...

Riffhai, ca. 1,5 m lang

Riffhai, ca. 1,5 m lang

Tobi, Jerome, Greg, Rico

Tobi, Jerome, Greg, Rico

Ich haette auch nicht geglaubt, dass das Wort Hai in mir einmal einen so starken Drang ausloest ins Wasser zu gehen. Aber kaum viel das Wort Sharks, hielt es kaum mehr jemand auf dem Boot. Wobei ich sagen muss, dass die Haie wohl mehr Angst vor uns hatten als wir vor ihnen, zumindest sind sie immer ganz schnell in den Tiefen des Meeres verschwunden, beeindruckend wars trotzdem und da ich den Grundsatz verfolge nicht nur zu nehmen, sondern auch zu geben, habe ich mich dann zu einer spontanen Fischfuetterung entschieden. Ich kann euch sagen, ich war so was von seekrank am ersten Tag, dass ich dachte, ich bin hier auf nem Hoellentrip.
Auch Greg hatte einiges zu bieten, der macht naemlich in seiner Freizeit beim Ironman mit. Fuer mich war er auf jeden Fall der Kruppstahl-Man, denn was der abends Havanna Club pur weggetrunken hat, war nicht mehr normal. Dass der morgens ueberhaupt noch tauchen konnt war alles!!
Nach drei Tagen gings dann wieder zurueck nach Cairns und ich nahm den Bus nach Airlie Beach...

© Jerome Krieger, 2009
Du bist hier : Startseite Australien & Ozeanien Australien Willkommen in Australien
Die Reise
 
Worum geht's?:
Einmal rund um den Globus bitte!! Das ganze in gut zwei Monaten, bewaffnet mit einen großen Rucksack und einer gehörigen Portion Abenteuerlust...
Details:
Aufbruch: 16.11.2009
Dauer: 10 Wochen
Heimkehr: 23.01.2010
Reiseziele: Singapur
Australien
Neuseeland
Fidschi
Der Autor
 
Jerome Krieger berichtet seit 14 Jahren auf umdiewelt.
Bild des Autors