Reise ans Ende der Welt: Neuguinea,von Walhaien und Steinzeitmenschen...

Reisezeit: Juli / August 2016  |  von Christine & Thomas R&H

10.07.2016: Kri Island

Den heutigen Tag haben wir mehr oder weniger verbummelt.
Eigentlich wollten wir heute schon eine Tour zu „Fam Island“ machen, aber von unserem homestay kamen nicht genug Leute zusammen.
So haben wir heute die Gegend zur rechten und linken Seite erkundet. Wir gehen zu dem benachbarten homestay "Wobei begong Dive Adeventure & Koranu Fyak bungalows". Dort macht Thalia schon mal für morgen für einen „Introducing dive“ Termin.
Auch hier kann so ein Ausflug zum „Fam Island „ gebucht werden, aber auch hier mangelt es an Gästen. Der Besitzer, Cedric, erklärt uns , dass im Laufe der Woche die Gäste alle abreisen, aber es keine Neuanmeldungen gibt.
So ein Boot kostet ca 5.000.000 IRP und man kann es mit max 7-8 Leuten besetzen, sodass der Preis auf etwa 700.000 IRP p.P. kommt.
Das ist schon ein stattlicher Preis, aber es ist bekannt, dass dies hier der hochpreisige
Teil Indonesiens ist.
Übrigens sollte man die Einheimischen hier nicht als Indonesier bezeichnen, wir haben das Gefühl, dass das nicht gern gehört wird.
Lieber "Papuan people"

Das ist unser "Badehaus" rechts die Dusche und links WC

Das ist unser "Badehaus" rechts die Dusche und links WC

Da hinten zu dem Steg wollen wir..

Da hinten zu dem Steg wollen wir..

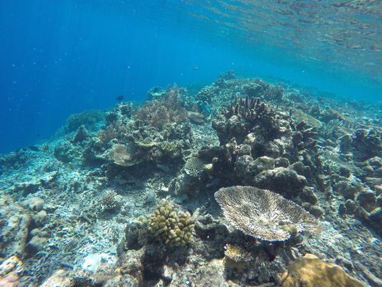
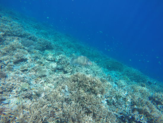
Wir gehen den Steg entlang und sehen unzählige bunte Fische. Diese Vielfalt ist mit keiner Ecke der Welt zu vergleichen. Im Oman haben wir auch schon schöne große Fische gesehen,aber kein Vergleich zu hier.
Riesige Feuerfische, kantige Boxfische und Flötenfische von mindestens 80cm Länge.
Dann noch Riffhaie, die elegant dahinschweben.
Das alles kann man schon vom Steg aus sehen. Leider können die Fotos das nicht wiedergeben.
Thalia hat tolle Unterwasserfilme, aber die kann man hier leider nicht einstellen.

Schade, der versteckt sich gerade..

Schade, der versteckt sich gerade..

Skalare

Skalare

Nach dem lunch gehen wir in die andere Richtung, dort kommen wir zu dem „Membrasar“ Homestay in dem die Familie aus Sachsen wohnt, die wir gestern kennengelernt haben.
Hier frage ich mal einen Von der Anlage nach einer „Fam Tour“ .
Er ist nicht abgeneigt, gemeinsam suchen wir unter den Gästen noch weitere Interessenten und mit der deutschen Familie sind wir schon zu Acht.
Wir müssen uns noch mal Abends treffen und die Sache fest machen, weil er erst seinen Bruder (oder wen auch immer...??) fragen muss.

Das sind die süßen holländischen Mädels mit ein paar Hundababies

Das sind die süßen holländischen Mädels mit ein paar Hundababies

Wir gehen weiter um die Insel, entdecken noch ein ausgestorbenes Dorf, mehrere Hütten—aber alle leer—
Von weitem sehen wir ein Ausflugsboot mit indonesischen Touristen. Die Jungs stürzen sich sofort auf Thalia und wollen Fotos...

Übrigens hat man hier immer einen Hund als Begleiter...

Übrigens hat man hier immer einen Hund als Begleiter...

Eine schöne Sandbank

Eine schöne Sandbank

Jeder will ein Foto mit Thalia...

Jeder will ein Foto mit Thalia...

Foto please!!!

Foto please!!!

Naja..ich darf auch...

Naja..ich darf auch...

Das leere Dorf..

Das leere Dorf..

Es ist Ebbe und Thalia geht ans Riff und schnorchelt zurück, ich laufe durch Wasser, bzw am Strand entlang.

Da trete ich lieber nicht drauf..

Da trete ich lieber nicht drauf..

Unser Homestay

Unser Homestay

Abends gehen wir zu dem Nachbar-Homestay „Membrasar“ und machen die Tour für morgen klar. Leider sind wir jetzt nur noch 5 Leute und er hat sich bereit erklärt das Boot für 4 Mio zu geben, also 800.000 IRP p.P.—nach einigem Hin- und Her einigen wir uns auf 750.000 IRP p.P.
Das ist immer noch viel, aber nach den Fotos die wir gesehen haben, ist es ein Highlight.
Nun canceln wir noch den Tauchgang für morgen und das wars dann für heute.
Nachts, nachdem das Licht ausgeht, bekommen wir wieder Besuch von der Ratte. Tatsächlich sehen wir sie im Schein unserer Taschenlampe wie sie auf dem Bindfaden entlangbalanciert und irritiert durch das Licht auf uns herabschaut- dann aber schnell durch das offene Dach verschwindet.

Du bist hier : Startseite Asien Indonesien 10.07.2016: Kri Island
Die Reise
 
Worum geht's?:
Wir nehmen nun die lange Anreise nach Papua auf uns.Für Thalia erfüllt sich der Traum beim Tauchen mit Walhaien zu kuscheln und ich freue mich auf einen Besuch beim Volk der Dani im abgelegenen Baliem Tal in West Papua.
Details:
Aufbruch: 06.07.2016
Dauer: 5 Wochen
Heimkehr: 09.08.2016
Reiseziele: Indonesien
Der Autor
 
Christine & Thomas R&H berichtet seit 14 Jahren auf umdiewelt.
Bild des Autors