Down Under- 3 Wochen Australien

Reisezeit: März / April 2015  |  von Meike Schmidt

Cairns : Tag 3: Tauchen am Great Barrier Reef

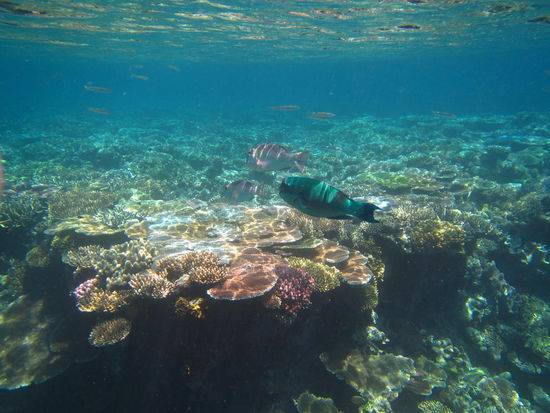
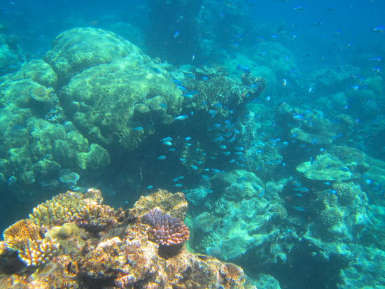
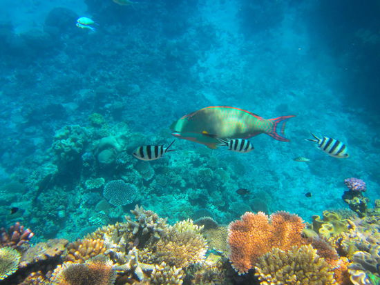
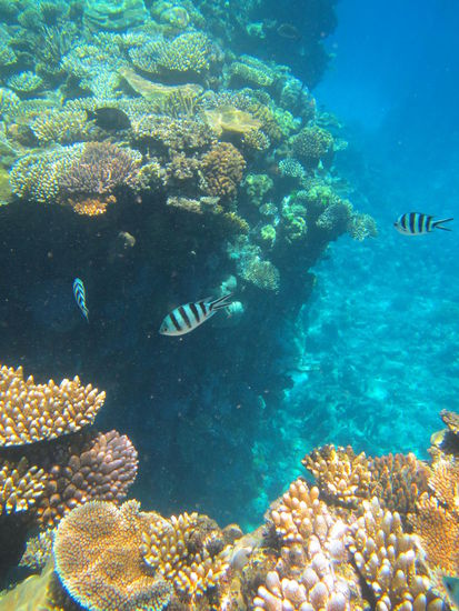
Endlich war es soweit- ein Traum geht in Erfüllung! Das Great Barrier Reef hat mich schon länger fasziniert. Ich wollte unbedingt die vielen bunten Fische und leuchtenden Korallen in real sehen und wurde nicht enttäuscht.
Um 8 Uhr wurde in der Marina von Cairns abgelegt und mit uns sind sicherlich noch 5 andere Boote rausgefahren. Allerdings waren wir glücklicherweise immer alleine an unseren Tauchspots
Ich buchte die Tour bei Silverswift und war sehr zufrieden. Die Crew war nett und gut ausgebildet. Dieses Mal buchte ich nur die Schnorchelvariante, da ich mich für eine zu schlechte Schwimmerin hielt, um an den Einsteiger-Tauchgang teilzunehmen

Taucher und Schnorchler wurden zu unterschiedlichen Zeiten unterwiesen und ins Wasser geschickt. Vor jedem Tauchspot gab es eine kurze Sicherheitsunterweisung und dann konnte man sich umziehen. Schnorchelausrüstung und Schwimmweste konnte man an einen eigenen Platz für den nächsten Tauchgang aufbewahren. Alleinreisende wurden von der Crew zu "Snorkelbuddies" zusammengeführt. Mit meiner Partnerin habe ich ausgemacht, dass wir immer in Sichtweite schwimmen und alle 10 Minuten abchecken, ob alles okay ist. Das hat super geklappt. Die Crew hatte einen Lifeguard mit Fernglas auf dem Dach und einen im Schlauchboot auf dem Wasser. Wenn ein Schwimmer zu weit weg geschwommen ist, wurde er durch ein Signal gewarnt und zur Umkehr aufgefordert.

Das Wasser war warm und klar. Strömung gab es nur am letzten Tauchspot. Die Taucher sahen sogar eine Wasserschildkröte, ich leider nicht
Dafür habe ich einige Nemos und viele andere bunte Fische gesehen. Die Farbe und die klare Sicht waren unglaublich und ich habe die 4GB Speicherkarte mit Videos und Bildern fast voll bekommen
So was schönes habe ich noch nie gesehen.
Nach jeder Rückkehr aufs Boot wurden die Passagiere durchgezählt. 2 Besatzungsmitglieder gingen mit Zählgeräten durchs Boot und wir durften uns solange nicht bewegen, bis ein Signal ertönte.

Ich habe Nemo gedunden

Ich habe Nemo gedunden

© Meike Schmidt, 2015
Du bist hier : Startseite Australien & Ozeanien Australien Tag 3: Tauchen am Great Barrier Reef
Die Reise
 
Worum geht's?:
Australien- für 3 Wochen geht es an das andere Ende der Welt. Stadt, Strand und Natur. Mal sehen, was mich erwartet. See ya, folks!
Details:
Aufbruch: 14.03.2015
Dauer: 3 Wochen
Heimkehr: 03.04.2015
Reiseziele: Australien
Der Autor
 
Meike Schmidt berichtet seit 12 Jahren auf umdiewelt.
Bild des Autors