Jenseits von Afrika

Reisezeit: September / Oktober 2014  |  von Stephan G.

Der Wald in den Wolken

Ein neuer schöner Tag hat begonnen und heute geht es zum Schnorcheln an die Anse Soleil.Die Bucht ist bekannt für viele Korallen und Fische und lag gleich bei uns um die Ecke. Den ganzen Vormittag faulenzten wir und genoßen die Unterwasserwelt beim Schnorcheln.

Unser Platz an der Anse Soleil

Unser Platz an der Anse Soleil

Schöner Ausblick an der Anse Soleil

Schöner Ausblick an der Anse Soleil

Noch ein schöner Ausblick

Noch ein schöner Ausblick

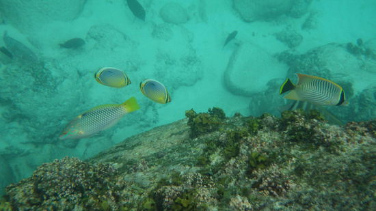
Fische gucken

Fische gucken

Steffi war ganz begeistert von den vielen Fischen und sie sah sogar einen Schwarm Calamaris.

Korallen sind auch wieder da

Korallen sind auch wieder da

Tolle Unterwasserwelt

Tolle Unterwasserwelt

Wunderschöner Seestern

Wunderschöner Seestern

Mittag rum fing es stark an zu regnen und wir entschieden uns zum Trost ein leckeres Take Away zu kaufen. Es gab ein Fischcurry und die leckeren Bananenkuchen. Beides verspeisten wir dann auf unserer Terrasse.

Erst einmal Pause machen auf unserem Balkon

Erst einmal Pause machen auf unserem Balkon

Am Nachmittag hörte es auch wieder auf mit dem Regen. Wir nutzten die Zeit und suchten den Eingang zum Montagne Brülee Trail, den wir bei der Satellitenstadion auch fanden. Es ging durch den Regenwald auf ein Plateau. Da es ja gerade geregnet hatte hatten wir eine ziemliche neblige Atmosphäre. Es hätte jetzt nur noch King Kong gefehlt, der Steffi entführte.

Nach dem Regen im Nebelwald

Nach dem Regen im Nebelwald

Wo geht es denn jetzt lang?

Wo geht es denn jetzt lang?

Eindrucksvoll der Regenwald im Nebel

Eindrucksvoll der Regenwald im Nebel

Zwei Wanderer

Zwei Wanderer

Zum Tagesabschluß die Belohnung der Sonnenuntergang an der Anse Louis

Zum Tagesabschluß die Belohnung der Sonnenuntergang an der Anse Louis

© Stephan G., 2014
Du bist hier : Startseite Afrika Seychellen Der Wald in den Wolken
Die Reise
 
Worum geht's?:
Auf dem Weg zu den Big Five, die Big Five des indischen Ozeans entdecken. Eine Reise auf die Seychellen und in das KwaZulu Land in Südafrika.
Details:
Aufbruch: 27.09.2014
Dauer: 3 Wochen
Heimkehr: 19.10.2014
Reiseziele: Niederlande
Seychellen
Südafrika
Swasiland
Der Autor
 
Stephan G. berichtet seit 21 Jahren auf umdiewelt.
Bild des Autors