Micha, Elli und das Nemo-Land...

Reisezeit: Oktober 2008 - Juli 2009  |  von Elli & Micha

Die Ostkueste: Airlie Beach

Juhu!

Von "Rockhampton" ging es also weiter nach "Airlie Beach". Der Grund: Wir wollten zu den "Whitsunday Islands"!

Die "Whitsunday Islands" sind 74 kleinere und groessere Inseln des "Great Barrier Reefs". Nur wenige davon sind bewohnt. Auf denen, die bewohnt sind, steht oftmals nur ein luxus Resort fuer Touristen. Eine Insel hat auch Einheimische und sogar nen Supermarkt. Der Rest ist National Park.

Zwischen "Rockhampton" und "Airlie Beach" lagen aber gute 500 km... (dazwischen sind nur Wiesen und Waelder!! Und natuerlich Kuehe!) Also hiess es, lange fahren. Komischerweise braucht man hier fuer 100 km laenger als bei uns zu Hause und mit Pausen und einem Information Center dazwischen waren wir ueber acht Stunden unterwegs... puh...
Zunaechst ging es aber erstmal nach "Mackay". Das waren schonmal gute 350 km. Dort liefen wir in ein Information Center und fragten eine nette Dame ueber die "Whitsundays" aus. Denn wie das immer so ist, so viele Inseln, wie es da gibt, so viele (und noch mehr) Angebote gibt es, sie zu erkunden. Es ging von 11taegigen Turns ueber die meisten Inseln, ueber 4 Tage Segeltrip bis zu Tagesausfluegen ins "Outer reef" oder Inselhopping.
Wir entschieden uns fuer eine Tagestour, die insgesamt 3 Inseln anfaehrt, aber nicht ganz so weit rausfaehrt, wo man wieder schnorcheln konnte und den beruehmten "Whitehaven Beach" (soll zu den 10 schoensten Straenden der Welt gehoeren und den weissesten Sand haben!!) besuchen konnte.
Die nette Dame im Information Center hat uns dann auch gleich mal fuer den uebernaechsten Tag eingebucht und glatt mal den Campingplatz in "Airlie Beach" dazu.

So hiess es fuer uns: weitere gute 150 km fahren. Abends um sechs Uhr oder so kamen wir dann endlich an, checkten ein und bauten auf. Als ich unseren Kuehlkram in den Kuehlschrank gebracht habe, wurde ich von einem Paerchen sehr freundlich begruesst. Ich hab freundlich zurueckgegruesst und mich gewundert. Naja, halt nett...

Den naechsten Tag sind wir sehr ruhig angegangen, sind durch die kleine Innenstadt und an der Strandpromenade entlanggewandert, haben schoen gefruehstueckt und uns umgeschaut. "Airlie Beach" koennte man theoretisch wirklich mit "Byron Bay" vergleichen. Nur nicht hippie und alternativ, sondern reich, luxurioes und auf die "Whitsundays" getrimmt. Hier gab es eine kuenstliche Lagune direkt am Strand. Das war eher ein schoener, riesiger Pool, den man umsonst benutzen durfte. Denn hier nimmt man die Quallen-Gefahr ein wenig ernster. Ueberall standen Warnschilder, die die Quallen und die Folgen einer Verletzung beschrieben und darunter hing immer eine riesen Flasche Essig. Am Strand war keine Menschenseele im Wasser (ausser ein paar Kanufahrer) und die Lagune platzte aus allen Naehten. Die Strandpromenade war sehr huebsch gestaltet und fuehrte komplett einmal am Strand entlang. Wir haben uns gedacht, "Airlie Beach" muss schon sehr viel Geld an seinen Touristen verdient haben...

Zurueck auf dem Campingplatz haben wir uns noch einen entspannten Restnachmittag gemacht, mal wieder gewaschen (sandige Handtuecher von "Great Keppel" und Bettwaesche) und gechillt.
Abends wollten wir schoen Spagetti Bolognese machen, da ueberfiel uns das Paerchen, welches mich schon so freundlich begruesst hatte. Es stellte sich heraus, das wir die Beiden vor ueber fuenf Monaten bei unserem ersten Aufenthalt auf einem Campingplatz in Sydney (beruehmter "Lane Cove") kennengelernt hatten. Australien ist ja sooo klein...

Die beiden sind in der Zwischenzeit einmal rum gefahren (um Australien) und jetzt auf dem Weg, die Ostkueste wieder runter zu fahren, um dann, genau wie wir, am 16.6. in Sydney ins Flugzeug zu steigen . Nur dass sie dann nach Hause fliegen. Fuer uns gehts ja erst nach Manila.
Das bedeuted, wir werde sie hoechstwarscheinlich in Sydney (auf dem beruehmten "Lane Cove" Campingplatz) wiedertreffen, um unsere Autos zu verkaufen . Sehr witzig!
Wir haben uns den Rest des Abends unterhalten, Erfahrungen ausgetauscht und Tipps bekommen und verteilt. Es war ein sehr netter Abend!

Am naechsten Morgen mussten wir frueh hoch, denn wir wurden von einem Shuttlebus schon um 7.45 Uhr abgeholt, der uns zum Hafen bringen sollte. Sehr cooler Service!
Am Hafen angekommen dauerte es auch nicht mehr lange und wir konnten auf unser Schiff. Wir hatten mal wieder Glueck und es waren keine anstrengenden Backpacker mit dabei. Wir suchten uns ein Plaetzchen auf dem oberen Deck und erwarteten so einiges.
Diesmal sollte die Tour allerdings ein wenig unpersoenlicher werden, denn es waren fast 80 Leute an Bord, die alle das Gleiche gebucht hatten wie wir.
In der Sicherheitseinweisung wurden wir diesmal mit Nachdruck auf die Quallen im Wasser hingewiesen. Die Saison fuer die Quallen ist zwar schon fast vorbei, aber sie wuerden uns doch empfehlen, einen Anzug zu tragen. Den sollten wir uns fuer umsonst unter Deck abholen. Dieser Anzug nannte sich "Stinger suite" und sah im Prinzip so aus wie ein Neoprenanzug fuer Surfer, nur dass dieser aus Nylon war, damit die Nesseln nicht an die Haut kommen. Heisse Teile, hab mich gefuehlt wie "Wonder Woman"...

Der erste Stop war auf "Hook Island". Dort gab es ein kleines, altes Resort, sonst war alles National Park. Wir wurden in zwei Gruppen eingeteilt und da wir in der zweiten Gruppe waren, starteten wir mit dem Unterwasserobservatorium. Hoert sich spektakulaer an, ist es aber nicht. Das Observatorium ist bestimmt schon 60 Jahre alt (so roch es da unten zumindest...), man musste durch einen dunklen Schacht nach unten klettern und hatte dann ca. 10 dreckige Mini-Bullaugen, durch die man braune Korallen und Fischer erahnen konnte. Also schnell wieder hoch.
Denn dann gings ab ins Glassbodenboot. Verglichen mit dem ersten Mal auf "Great Keppel" konnte dieses auch irgendwie nicht mithalten. Es sassen mehr Menschen drin, den Typen hat man nicht verstanden, weil er zu leise gesprochen hat und es haben staendig Kinder geweint...
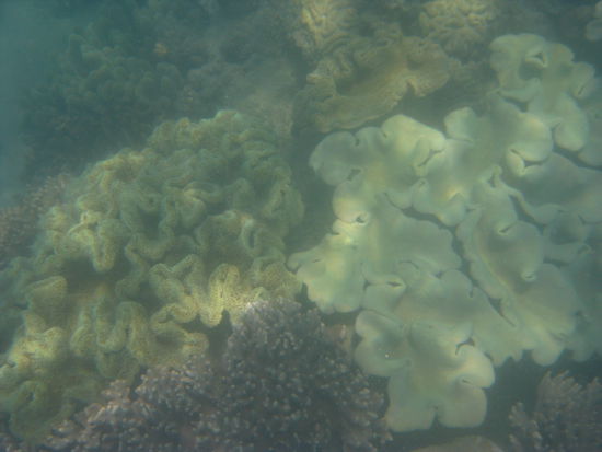
Aber die Korallen waren hier defintiv schoener! Hier gab es auch weiche, schwingende Korallen in allen moeglichen Farben! Und mal wieder dutzende von Fischen!
Wieder zurueck am Steg fuehrte nun ein kleiner Wanderweg durch den Wald zu dem Resort. Dort angekommen kam uns die andere Gruppe schon entgegen.
Da wir ja so viele waren, musste wohl ein ziemlich straffer Zeitplan eingehalten werden. Auf jeden Fall war eine Frau, die dort die Einweisung fuers Schnorcheln gemacht hat, ein wenig gestresst und hat ein wenig hecktische Stimmung verbreitet. Naja, die Schnorchelausruestung war voellig in Ordnung, dann konnte das Schnorcheln ja losgehen. Diesmal sind wir nicht wie auf "Great Keppel" vom Boot ins Wasser gehuepft, sondern mussten ganz langsam vom Strand mit unseren Flossen ins Wasser watscheln. Hatte auch was.

Weiter hinten hat ein Mann in einem Schlauchboot Fische gefuettert, so dass dort echt Massen von Fischen im Wasser waren! Voll cool! Man konnte direkt durchschwimmen! Und die Korallen waren echt cool, nur dass das Wasser ein wenig truebe war.
Leider durften wir hier nicht so lange... Nur ne halbe Stunde, der Zeitplan halt.

Zurueck an Bord gab es dann erstmal ein feines Mittagessen. Schoen kaltes Buffet mit alles! Nichts dran auszussetzen.
Waehrend des Essen ging die Reise schon weiter, diesmal als Ziel die "Whitsunday Island" mit dem schoenen "Whitehaven Beach". Dort angekommen durften wir 1 1/2 Stunden die Seele baumeln lassen . Das haben wir auch glatt getan. Und natuerlich ordentlich viele Fotos gemacht.
Irgendwann mussten wir leider wieder los. Aber wir hatten ja noch eine Insel vor uns: "Daydream Island". Der Name versprach so einiges. Auf dieser Insel waren sogar 2 Resorts. Das eine fuer Urlauber und das andere fuer Tagesausfluegler wie uns. Dort konnte man noch schwimmen gehen, relaxen, Souveniers kaufen, essen, mit nem Jetski heitzen gehen, etc. pp. Wir hatten jedoch keine Lust, dort noch Unmengen an Geld zu lassen, gaben uns mit einem Eis zufrieden und chillten am und im Pool. Waeren lieber laenger am schoenen Strand geblieben...hm...na ja, war ja auch ganz nett. Wann darf man schon mal ein 5 Sterne Resort einfach mal fuer 1 1/2 Stunden mitbenutzen?! Wir wollen nicht meckern.

Der Rueckweg dauerte nur noch zwanzig Minuten. Am Hafen wartete schon unser Bus auf uns und es ging fix auf unseren Campingplatz zurueck.
Auf dem Platz angekommen ueberfielen uns gleich Bea und Michael (die anderen Beiden) und schlugen Pizza vor. Micha fuhr mit ihnen in die Stadt um sie zu holen und ich ging erstmal duschen. Hatte den Sand vom "Whitehaven Beach" ueberall...
Den Abends sassen wir wieder lange zusammen und haben ueber Gott und die Welt gequatscht. Die Beiden wollten am naechsten Morgen auch wieder weiter.
Haben dann am naechsten Morgen noch zusammen gefruehstueckt und ein paar Filme fuer unseren Laptop bekommen. Fuer die einsamen Naechte im Outback!
Haben uns dann verabschiedet und sind wieder losgeduest. Sehen die Beiden ja schaetzungsweise in Sydney wieder .

Liebe Gruesse bis hier
Micha & Elli

unser Leguan auf dem Campingplatz

unser Leguan auf dem Campingplatz

Micha, das Spielkind

Micha, das Spielkind

die Lagune

die Lagune

Strandpromenade

Strandpromenade

Unterwasserobservatorium und unser Schiff

Unterwasserobservatorium und unser Schiff

"Wonderwoman"

"Wonderwoman"

Kueste vor "Hook Island"

Kueste vor "Hook Island"

Fischefuettern

Fischefuettern

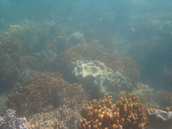
Schnorcheln...

Schnorcheln...

Schnorcheln...

Schnorcheln...

Schnorcheln...

Schnorcheln...

mehr Schnorcheln...

mehr Schnorcheln...

weiter Schnorcheln...

weiter Schnorcheln...

Micha am Schnorcheln...

Micha am Schnorcheln...

Elli fertig mit Schnorcheln...

Elli fertig mit Schnorcheln...

"Hook Island"

"Hook Island"

"Whitehaven Beach"... Und??

"Whitehaven Beach"... Und??

Fantastisch, oder?!?

Fantastisch, oder?!?

"Smile for the camera..."

"Smile for the camera..."

"You too..."

"You too..."

chillen...

chillen...

und wieder weiter..

und wieder weiter..

"Daydream Island" - Micha tobt im Pool

"Daydream Island" - Micha tobt im Pool

"Daydream Island" - Elli chillt und liest

"Daydream Island" - Elli chillt und liest

Ende eines schoenen Tages

Ende eines schoenen Tages

© Elli & Micha, 2008
Du bist hier : Startseite Australien & Ozeanien Australien Airlie Beach
Die Reise
 
Worum geht's?:
Am 28.10. steigen wir mit gemischen Gefühlen in Hamburg in den Flieger und werden dann am 30.10. morgens um sechs in Sydney ankommen. Von da aus beginnt unsere ca. 8-monatige Endeckungstour quer durch Australien. Viel Spaß mit unserem Reisebericht!
Details:
Aufbruch: 30.10.2008
Dauer: 8 Monate
Heimkehr: 04.07.2009
Reiseziele: Australien
Der Autor
 
Elli & Micha berichtet seit 16 Jahren auf umdiewelt.
Bild des Autors