Hermann und Trude around the world :0)

Reisezeit: Oktober 2011 - April 2012  |  von Carmen / Marc-Oliver L.

Fidschi Island ( Fiji ): Waya Lailai, Shark schnorcheln (Marc), Dorf

88. Tag 29.12.2011

Sonne!

Die Nacht war ganz gut, dem Bein geht's nicht wirklich besser, die nächste Stelle ist aufgegangen. Somit fällt für mich heute das Riffhai-Schnorcheln aus! Marc ist aber dabei und kann hoffentlich viele Bilder machen!!!

Schnorcheln mit den Sharks

Das hat er, es war lt. seiner Aussage: Großartig! Nur geil! Die Haie kamen wohl sehr dicht an einen ran und haben ihn wohl auch öfter gestreift! 5-6 Hai waren es auf einen Haufen und ganze Fischschwärme anderer Fische. Ich hätte das sooo gerne mitgemacht! Grummel! Jetzt bin auch ich neidisch!

Die Haie werden vorher mit Fischen angelockt... Einer vom Resort beim Sperrfischen

Die Haie werden vorher mit Fischen angelockt... Einer vom Resort beim Sperrfischen

sie schwammen ganz dicht an einem vorbei

sie schwammen ganz dicht an einem vorbei

wer ist schneller?

wer ist schneller?

sie sehen ja schon ein wenig fies aus...

sie sehen ja schon ein wenig fies aus...

wer wird siegen?

wer wird siegen?

Shark von hinten

Shark von hinten

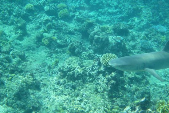
Weißspitzenriffhai

Weißspitzenriffhai

Meeting

Meeting

Ketten basteln

Wir haben am frühen Nachmittag noch einmal im Dorf vorbeigeschaut und sind noch einmal kreativ geworden. Ich hab nun auch noch eine Halskette! Bringt schon Spaß, naja zumindest mir. Marc war nicht so angetan!

Armkettchen self made

Armkettchen self made

Den Rest des Tages haben wir am Strand verbracht, schön abhängen in der Hängematte, es war aber auch wieder irre warm, in der Sonne hält man das kaum aus!

Ich hatte nun schon einen Klumpfuß, laufen war schon ziemlich mühsam, Bein hochlegen, wie bei alten Leuten hilft tatsächlich, zumindest geht die Schwellung etwas zurück. Warum immer zu Weihnachten oder Neujahr?! Langsam wird's zum running-gag.

Ein großer Stein!

Ein großer Stein!

nichts tun

nichts tun

Waya Lailai

Waya Lailai

Gegen 17.30h kam unser Boot, zur Hauptinsel, wir mussten ja wieder nach Nadi, von dort geht morgen unser Flieger. Wir haben schön draußen gesessen, herrlich. Bis die See etwas rauer wurde und wir regelmäßig abgeduscht wurden, das war dann nicht mehr ganz so lustig! Also rein ins Boot. Einer vom Personal war so lieb und hat geholfen, weil ich durch einen Ruck schon auf meinem Po gelandet bin. Er hat mein Gepäck genommen, damit ich die Treppe runter laufen kann. Ich habe mich für den schnelleren Weg entschieden. Es war so nass auf der Treppe, bin ausgerutscht und einmal runter gesegelt. Nun war der Fuß nicht mehr nur dick, nun wechselte er auch unten langsam die Farbe. Ich war in dem Moment nur froh, dass es sich um den gleichen Fuß handelte... Was ein scheiß Tag!

goodbye

goodbye

noch ist es trocken...

noch ist es trocken...

Auf Viti Levu angekommen, wurden wir mit dem Bus zum Hostel gebracht. Mittlerweile war es auch schon nach 21.30h. Da der Fuß aber so dick war, das ich wirklich nicht mehr auftreten konnte, haben wir uns entschieden ins Krankenhaus zu fahren. Das Hostel hat einen Fahrer besorgt, der angeblich eine Praxis kennt, die noch auf hat. Preis: 10 FJD. Na dann los. Er brachte uns er einmal zur Tankstelle, weil er seinen vollen Tank (!) noch voller machen wollte. Er konnte gar nicht richtig tanken, die Säule war nur am klicken, was das für einen Sinn hatte 4 Liter zu tanken, leuchtet mir immer noch nicht ganz ein. Nun denn, dann fuhr er zum ersten Arzt. Zu... Aber er kannte ja noch einen - Zu... Alle guten Dinge sind 3 - Zu... Ich war ja schon wieder bedient. Dann hat uns einer gesagt, wir sollten ins Zentrum fahren, dort gibt es einen 24 Stunden Service. Gute Idee.
Dann kam die "lustige" Idee vom Fahrer. Er würde uns dort hinbringen für weitere 10 FJD. Bitte? Warum soll ich denn zahlen, wenn er mir ne Stadtrundfahrt bietet, die ich gar nicht wollte. Er meinte ja am Anfang er kenne eine Praxis. Sah ich ja gar nicht ein. Dann meinte er: Gut er kann uns auch zum Hostel zurück bringen. Gute Idee. Hab ihm dann gesagt, er kann sich überlegen was er möchte, entweder Hostel, dann will ich mein Geld zurück, oder zur Arztpraxis, dann kann er das Geld behalten. Er war uneinsichtig. Daraufhin hab ich ihm noch einmal deutlich gemacht, dass ich es aussitze und nicht eher aussteige, bis ich entweder das Geld wieder habe oder einen Arzt zu sehen bekomme. Dann hat er aufgegeben. Und uns zum Arzt gebracht, mit der Bedingung das er uns dann wieder zum Hostel fahren darf für 10 FJD. Die hätten wir ja eh bezahlen müssen, von daher war das okay. Was ein Idiot!

Im Hospital angekommen wurden wir auch gleich nett bedient. Der Arzt war sehr nett und meinte ich habe eine allergische Reaktion auf Moskitostiche und eine Entzündung. Da es hier keine rote Liste etc. gibt habe ich mich mit meiner Arbeit in Deutschland in Verbindung gesetzt und die haben ganz lieb nachgeschaut, ob ich das Medikament vertrage würde, VIELEN DANK nochmal! Blöd das ich auch nichts mitgenommen habe, liegt bestimmt zu Hause auf dem Fußboden und ist beim packen weg gerutscht...
60 FJD später waren wir dann wieder auf dem Weg zum Hostel, diesmal mit einem anderen Fahrer. "Unser" hatte keine Zeit mehr zu warten, war mir ganz recht!

schön sieht das ja nicht aus...

schön sieht das ja nicht aus...

Marc hat sich beim warten auf den zweiten Fahrer doch tatsächlich 8 Moskitostiche zu gezogen, also ich sag euch, die sind alle besonders stark juckend!! Männer!

Im Hostel nur noch hundemüde ins Bett gefallen, Essen wird überbewertet!!

Fazit des Tages:

in memorian...

© Carmen / Marc-Oliver L., 2011
Du bist hier : Startseite Australien & Ozeanien Fidschi Waya Lailai, Shark schnorcheln (Marc), Dorf
Die Reise
 
Worum geht's?:
Das Abenteuer beginnt! :) Geplant sind 6 Monate von den USA - über Hawaii auf die Fidschis, von da weiter nach Australien und Neuseeland. Meist kommt es ja anders als man denkt, von daher bin ich sehr gespannt wohin die Reise alles gehen wird.
Details:
Aufbruch: 01.10.2011
Dauer: 7 Monate
Heimkehr: April 2012
Reiseziele: Vereinigte Staaten
Fidschi
Australien
Neuseeland
Indonesien
Deutschland
Der Autor
 
Carmen / Marc-Oliver L. berichtet seit 12 Jahren auf umdiewelt.