Träume nicht dein Leben, sondern lebe deinen Traum... Wir tun es...

Reisezeit: November 2008 - Mai 2009  |  von Nadine. & Stefan K.

Thailand: Tauchen bei Koh Bon

Am 11.04.09 ging es dann schon ganz frueh morgens mit dem Speedboot ca. 1,5h nach Koh Bon, wo wir auf ein grosses Schiff umstiegen. Das Schiff ist eines wo man auch uebernachten kann, waehrend sogenannter "Tauchsafaris", was wir auch irgendwann gern mal machen wollen. Auf dem Boot wo bereits "Tauchsafarigaeste" an Bord waren, lief alles sehr entspannt ab. Wir konnten uns in aller Ruhe mit viel Platz fuer unsere Tauchgaenge fertig machen. Das Mittagessen war sehr lecker und es gab die ganze Zeit Softdrinks, Kaffee und Tee, Kekse und Obst inklusive.
Alles in allem war es ein sehr entspannter Tag, wieder mal mit genialen Erlebnissen unter Wasser.

Auf dem Oberdeck des Schiffes.

Auf dem Oberdeck des Schiffes.

Ich glaub das ist ein Doktorfisch.

Ich glaub das ist ein Doktorfisch.

Und den wuerde ich in die Familie der Butterflyfische stecken, bin mir aber net ganz sicher.

Und den wuerde ich in die Familie der Butterflyfische stecken, bin mir aber net ganz sicher.

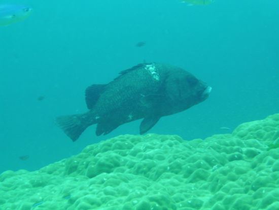
Ein Juwelen Zackenbarsch.

Ein Juwelen Zackenbarsch.

Ein Barrakuda.

Ein Barrakuda.

Anas, Stefan und ganz hinten ich beim Fotografieren

Anas, Stefan und ganz hinten ich beim Fotografieren

Und dann tauchte ploetzlich aus dem Nichts der Manta auf mit einer Fluegelspannweite von 5-6m. Da kommt man sich ploetzlich ganz klein vor . Er drehte seine Runden ueber uns und um uns herum als wenn er sich praesentieren wollte. Dieses Schauspiel dieses Giganten war einfach sagenhaft und unbeschreiblich... einfach nur WOW, aber seht selbst...

Wir vier

Wir vier

Waehrend der Pause.

Waehrend der Pause.

Die Insel Koh Bon liegt ca. eine Stunde nördlich von den Similan Inseln.

Die Insel Koh Bon liegt ca. eine Stunde nördlich von den Similan Inseln.

Beim zweiten Tauchgang sahen wir leider keinen Manta mehr, aber es gab auch sonst noch einiges zu entdecken.

Eine Languste.

Eine Languste.

Eine Nudibranch.

Eine Nudibranch.

Alles kleine Fische!

Alles kleine Fische!

Hier versteckt sich ein kleiner Octopus, der sich so gut tarnt, dass man ihn nicht erkennt, wenn man es nicht weiss.

Hier versteckt sich ein kleiner Octopus, der sich so gut tarnt, dass man ihn nicht erkennt, wenn man es nicht weiss.

Wieder mal eine Muraene.

Wieder mal eine Muraene.

Zum Schluss beim Sicherheitsstopp haben wir dann noch eine kleine Seeschlange gesehen, die leider zu weit weg war um sie zu fotografieren. Dazu muss man sagen, dass Seeschlangen die giftigsten Schlangen der Erde sind und sie um ein Vielfaches giftiger als ihre nahen Landverwandten sind! Sie sind jedoch wenig beissfreudig und zum anderen haben sie als Trugnattern ihre Giftzähne nicht an der Maulspitze, sondern weit hinten im Rachen, wodurch es ihnen unmöglich ist, grössere Bisse auszuführen.
Ausserdem ist bisher kein dokumentierter Todesfall durch eine Seeschlange bekannt, was einen ja beruhigt

Am Ende des Tages, als wir noch in der Wetzone zusammen sassen, unsere Logbuecher schrieben und warteten, dass der Regen irgendwann mal aufhoert, erfuhren wir, dass die eine Tauchlehrerin, die ja so gut wie jeden Tag tauchen geht, noch nie einen Walhai gesehen hat! Wir sind also richtige Glueckskinder mit unseren 2 Walhaien und einem Manta in so kurzer Zeit und mit gerade mal 19 Tauchgaengen (Dani und Anas gerade mal 10 Tauchgaenge). Die Tauchlehrer meinten dann aus Spass, dass wir nun unsere Tauchscheine wieder abgeben koennen, da wir ja eh schon alles gesehen haben .
Aber ne ne, die behalten wir, denn wir werden sie in Zukunft noch sehr oft brauchen, denn es gibt noch soooo viel zu entdecken.

Du bist hier : Startseite Asien Thailand Tauchen bei Koh Bon
Die Reise
 
Worum geht's?:
Stefan und Nadine auf Weltreise – 180 Tage unterwegs quer durch Südamerika, über die Südsee nach Neuseeland, von dort nach Australien und über Südostasien wieder nach hause.
Details:
Aufbruch: 23.11.2008
Dauer: 6 Monate
Heimkehr: 09.05.2009
Reiseziele: Ecuador
Peru
Brasilien
Argentinien
Chile
Bolivien
Cookinseln
Neuseeland
Franz-Josef-Gletscher
Australien
Thailand
Kambodscha
Der Autor
 
Nadine. & Stefan K. berichtet seit 16 Jahren auf umdiewelt.
Bild des Autors