Träume nicht dein Leben, sondern lebe deinen Traum... Wir tun es...

Reisezeit: November 2008 - Mai 2009  |  von Nadine. & Stefan K.

Australien: Tauchen am Ningaloo Reef

In Exmouth verbrachten wir fast 5 Tage, da wir 2 Tage auf eine Tauchtour warten mussten, welche dann wegen "rauher See" nochmal verschoben wurde. Zum Glueck gibt es dort einen sehr schoenen Nationalpark, wo man super schnorcheln kann und unser Campground hatte einen total schoenen Pool in welchem wir uns abkuehlen konnten. Bevor wir also am Ningaloo Reef Tauchen gingen, erkundeten wir erstmal den Cape Range Nationalpark, gingen schnorcheln und liessen uns die Sonne auf den Bauch scheinen. Der Nationalpark besteht wie gesagt aus wunderschoenen weissen Sandstraenden mit turkisblauen Wasser, wo man super schnorcheln kann, aber auch aus Schluchten und Kalksteinfelsen, wo man Wandern kann.

Der Leuchtturm am Vlamingh Head.

Der Leuchtturm am Vlamingh Head.

Der Yardie Creek fliesst hier ins Meer.

Der Yardie Creek fliesst hier ins Meer.

Yardie Creek Gorge.

Yardie Creek Gorge.

Sandduenen.

Sandduenen.

Und Kaengurus gibt es auch...

Und Kaengurus gibt es auch...

...von hinten.

...von hinten.

Doch neugierig?

Doch neugierig?

An der Turquoise Bay.

An der Turquoise Bay.

Blick ueber die Bucht.

Blick ueber die Bucht.

An den beiden Buchten Oyster Stacks Bay und Turquoise waren wir dann auch schnorcheln. Zuerst an der Oyster Stacks Bay, da hier das Riff besonders nah an der Kueste liegt. Allerdings musste man hier erstmal ueber glitschige Felsen um ins Wasser zu kommen, doch die Unterwasserwelt war total schoen. Danach fuhren wir weiter an die naechste Bucht, die Turquoise Bay. Wunderschoener weisser Sandstrand und glasklares Wasser. Wir, wie ganz viele andere auch, also nix wie rein ins kuehle Nass. Stefan musste das Schnorcheln bald abbrechen, da sein Schnorchel nicht dicht war und ich schnorchelte noch ein bisschen vor mich hin. Hier war es nicht so interessant wie an der Oyster Stack Bay, denn hier war fast nur Sandboden, vereinzelte Korallenbloecke und wenig Fische. Und ploetzlich war er da!!! Ein HAI. Mein erster Hai beim Schnorcheln vom Strand aus!!!! Doch das war kein Riffhei, der war nicht grau mit weisser oder schwarzer Flossenspitze. Der war gemustert und lag ca. 2 Meter unter mir im Sand. Mein erster Gedanke war: "Ach du scheisse, das ist ein Tigerhai!" Ich schwomm also wie eine Bekloppte Richtung Strand, schaute immer wieder hinter mich ob er mich auch ja nicht verfolgt (obwohl er wenn ja wahrscheinlich eh viel schneller als ich gewesen waere!) und sprang aus dem Wasser. Ich schwamm so schnell, dass ich sogar Stefan ueberholt hatte und war voellig aufgeloest als ich aus dem Wasser kam. Ich packte unsere Sachen und sagte, wir muessen hier weg, hier gibts Tigerhaie. Um doch 100% zu wissen was fuer ein Hai das war, fuhren wir gleich in den Diveshop und schauten uns dort die Tafeln mit den verschiedenen Haiarten an. Dort sah ich, dass ich keinen Tigerhai begegnet war, sondern einem Leopardenhai. Einer der Tauchlehrer meinte dann noch, der sei fuer uns Menschen ungefaehrlich, da er nur kleine Zaehne hat und als Nahrung eher kleine wirbellose Tiere bevorzugt. Toll, und ich hab in meiner "Panik" natuerlich kein Foto gemacht. Aber mir war in dem Moment mein Leben wichtiger als ein Foto. Doch das Bild wie da ploetzlich ein Hai unter mir liegt, wird wohl immer in meiner Erinnerung bleiben...

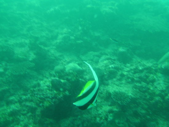
Und am 17.03.09 gings dann endlich wieder richtig Tauchen zum Ningaloo Reef, wo wir endlich unsere ersten Riffhaie gesehen haben, eine Schildkroete, Rochen und viele andere Fische....

Info:
Das Ningaloo Reef ist ein über 250 km langes Korallenriff an der Westküste Australiens. Es erstreckt sich entlang der "Coral Coast" und liegt - anders als zum Beispiel das berühmte Great Barrier Reef - ungewöhnlich nah vor der Küste. Das Ningaloo Riff ist an vielen Stränden kaum 100 m vom Festland entfernt, so dass es nicht nur für Taucher, sondern auch für Schwimmer und Schnorchler ein beliebtes Wassersportgebiet darstellt. Neben zahlreichen tropischen Fischen (über 500 Arten soll es in dem Naturpark geben) zählen Wasserschildkröten, Stachelrochen, Mantarochen, Dugongs und viele Arten von Haien - unter anderem verschiedene Arten von Riffhaien, aber auch Tigerhaie und Hammerhaie - zu den spektakulärsten Riffbewohnern.

Auf in die Tiefe (Stefan)...

Auf in die Tiefe (Stefan)...

Hier unseren ersten beiden Weissspitzen-Riffhaie unter einem Felsen.

Hier unseren ersten beiden Weissspitzen-Riffhaie unter einem Felsen.

Und da schwimmt noch einer.

Und da schwimmt noch einer.

Blauer Seestern.

Blauer Seestern.

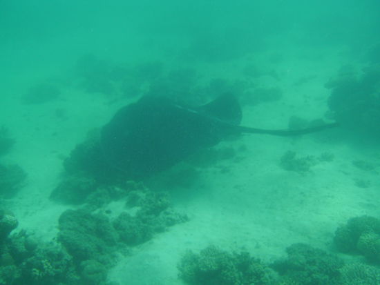
Ein riesiger (ca. 1,60m grosser) Stachelrochen.

Ein riesiger (ca. 1,60m grosser) Stachelrochen.

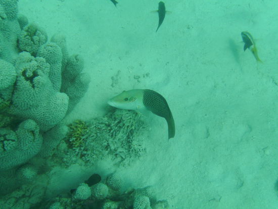
Schwarzer Catfish.

Schwarzer Catfish.

Du bist hier : Startseite Australien & Ozeanien Australien Tauchen am Ningaloo Reef
Die Reise
 
Worum geht's?:
Stefan und Nadine auf Weltreise – 180 Tage unterwegs quer durch Südamerika, über die Südsee nach Neuseeland, von dort nach Australien und über Südostasien wieder nach hause.
Details:
Aufbruch: 23.11.2008
Dauer: 6 Monate
Heimkehr: 09.05.2009
Reiseziele: Ecuador
Peru
Brasilien
Argentinien
Chile
Bolivien
Cookinseln
Neuseeland
Franz-Josef-Gletscher
Australien
Thailand
Kambodscha
Der Autor
 
Nadine. & Stefan K. berichtet seit 16 Jahren auf umdiewelt.
Bild des Autors