Träume nicht dein Leben, sondern lebe deinen Traum... Wir tun es...

Reisezeit: November 2008 - Mai 2009  |  von Nadine. & Stefan K.

Ecuador: Unterwasserbilder

Hier nun die Unterwasserbilder.
Wie schon in den Infos ueber die Galapagos Insel beschrieben wurde, ist das Wasser gerade mal so um die 20 Grad und oft merkt man die eiskalten Stroemungen vom Pazifik. Es kostet schon echt Ueberwindung in so kaltes Wasser zu gehen, vor allem mussten wir meistens morgens um 8.30 Uhr vom Dingi reinspringen*brrr*. Aber unser Guede Maria war so nett und hat mir(Nadine) meistens ihren Neoprenanzug geliehen, der zwar ein bissi zu gross war, aber besser als nur Bikini. Ausserdem vergisst man ganz schnell wie kalt das Wasser ist, sobald man Schildkroeten, bunte Fische und spielende Seeloewen um sich hat

Da ist ein Hai!

Da ist ein Hai!

Was wir im letzten Kapitel ganz vergessen haben zu erwaehnen, am ersten Abend auf dem Schiff, haben wir gleich einen Hai gesehen. Auf dem Bild leider relativ schlecht zu erkennen, aber vom Schiff aus hat man ihn sehr gut gesehen. Maria unser Guide meinte, es waere nur ein harmloser Galapagos Hai gewesen. An einem der Straende wo wir waren (wo wir aber leider nicht ins Wasser gehen durften, da es wegen der Tiere geschuetzt ist) haben wir auch noch mal einen Hai ganz nah am Strand schwimmen sehen (da wo auch die Rochen waren). Beim schnorcheln haben wir leider keine gesehen

Rote Klippenkrabbe

Rote Klippenkrabbe

Seeigel

Seeigel

Pinguin aus dem Wasser raus fotografiert

Pinguin aus dem Wasser raus fotografiert

Spielende Seeloewen

Spielende Seeloewen

Das ist ein Sunfish bzw. auf deutsch ein Mondfisch.

Das ist ein Sunfish bzw. auf deutsch ein Mondfisch.

Diesen haben wir gleich bei unserem allerersten Schnorchelgang gesehen und man muss dafuer echt Glueck haben, denn er lebt zwar in kalten Gewaessern, allerdings in Tiefen von 30 bis 480 Metern!
Hier ein paar Infos zum Mondfisch, damit ihr euch vorstellen koennt, warum dieser so spektakulaer ist, denn auf den Bilder kommt er gar nicht so rueber:

Der Mondfisch ist der größte bekannte Knochenfisch der Welt und ähnelt einem schwimmenden Mühlstein, daher war der zoologische Name Mola mola für den Mondfisch auch namensgebend (lat. mola = Mühlstein). Er erreicht eine Körperlänge von etwa drei Metern, eine Körperhöhe von ungefähr vier Metern und ein Gesamtgewicht von über zwei Tonnen.

Jetzt versteht ihr was wir meinen, oder?

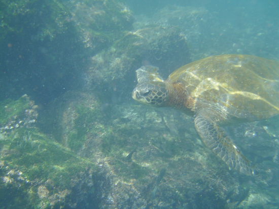
Eine Turtle

Eine Turtle

Pinguine

Pinguine

Es sieht nur so aus als haette Stefan Angst vor der Schildkroete vor ihm, eigentlich taucht er nur grad auf und holt Luft

Es sieht nur so aus als haette Stefan Angst vor der Schildkroete vor ihm, eigentlich taucht er nur grad auf und holt Luft

So nah konnt man an sie ran. Es ist ein unglaubliches Gefuehl, wenn unter einem eine Schildkroeten in aller Ruhe schwimmt, die fast so lang war wie ich und mindestens mal 4-5x soviel wiegt wie ich.

So nah konnt man an sie ran. Es ist ein unglaubliches Gefuehl, wenn unter einem eine Schildkroeten in aller Ruhe schwimmt, die fast so lang war wie ich und mindestens mal 4-5x soviel wiegt wie ich.

Wir haben uns auch mal beim Kajaken versucht und waren gar nicht mal so schlecht

Wir haben uns auch mal beim Kajaken versucht und waren gar nicht mal so schlecht

Das sind wir, danke Kathleen fuer das Foto.

Das sind wir, danke Kathleen fuer das Foto.

Caro und Jan beim Kajaken

Caro und Jan beim Kajaken

Stefan in seinem Schnorcheloutfit

Stefan in seinem Schnorcheloutfit

Ganz viele Fische

Ganz viele Fische

Also wie ihr seht, hat die Unterwasserwelt nicht weniger zu bieten, als die Welt an Land.

Du bist hier : Startseite Amerika Ecuador Unterwasserbilder
Die Reise
 
Worum geht's?:
Stefan und Nadine auf Weltreise – 180 Tage unterwegs quer durch Südamerika, über die Südsee nach Neuseeland, von dort nach Australien und über Südostasien wieder nach hause.
Details:
Aufbruch: 23.11.2008
Dauer: 6 Monate
Heimkehr: 09.05.2009
Reiseziele: Ecuador
Peru
Brasilien
Argentinien
Chile
Bolivien
Cookinseln
Neuseeland
Franz-Josef-Gletscher
Australien
Thailand
Kambodscha
Der Autor
 
Nadine. & Stefan K. berichtet seit 16 Jahren auf umdiewelt.
Bild des Autors